Station Name: MANSTON CAMP
[Source: Darren Kitson]
/div>
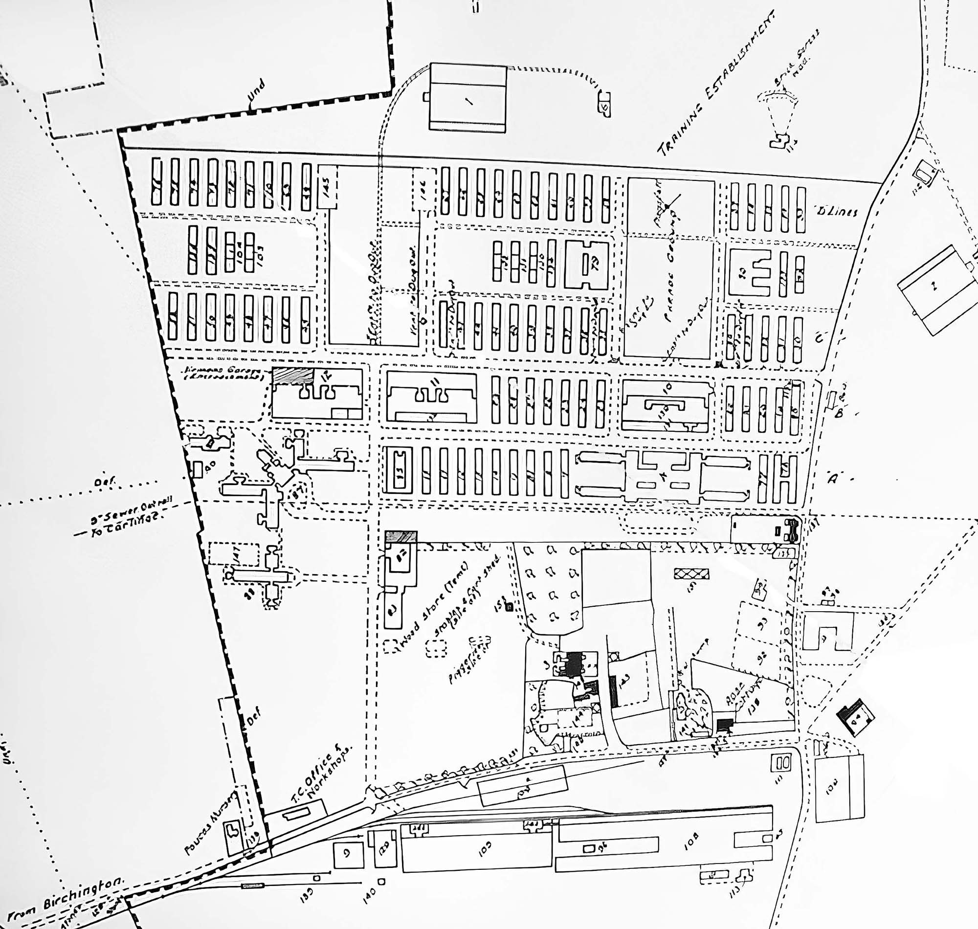
922 plan of Manston Camp and railway terminus.
Home Page
Last updated: Monday, 12-May-2025 17:32:52 CEST
© 1998-2024
Disused Stations